[AegeanLichens]

Pictures of
AEGEAN LICHENS

List of genera

by H. Sipman
BGBM
last updated:
1 February 2007, partially 13 January 2009; updated and extended Dec. 2013
Lichens of Greece (with keys!)
webkeys
other Zschackia issues
[bgbm-Logo]

Species of Caloplaca in the Aegean: A-C, D-H, I-P, R-V

 

 

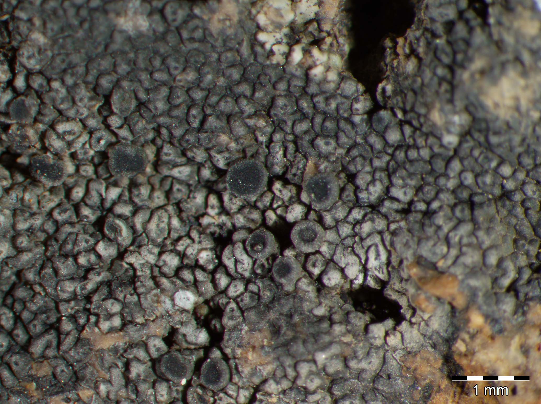
Caloplaca aegaea Sipman -
[Caloplaca aegaea]
(Sipman 53708); picture length = 7 mm; click for large picture.
 

Caloplaca agardhiana (A.Massal.) Clauzade & Cl.Roux -
[Caloplaca agardhiana] [Caloplaca agardhiana]
(Sipman 54445); picture length = 7 mm; click for large picture. (Sipman 54089); picture length = 7 mm; click for large picture.
[Caloplaca agardhiana]
(Sipman 54336); picture length = 7 mm; click for large picture.
 

Caloplaca albolutescens (Nyl.) H.Olivier -
[Caloplaca albolutescens] [Caloplaca albolutescens]
(Sipman 54365); picture length = 7 mm; click for large picture. (Sipman 53745); picture length = 7 mm; click for large picture.
 

Caloplaca alnetorum (Körb.) Th.Fr. ? -
[Caloplaca alnetorum]
(Sipman 54044); picture length = 7 mm; click for large picture.
 

Caloplaca alociza (A.Massal.) Migula -
[Caloplaca alociza]
(Sipman 54091); picture length = 7 mm; click for large picture.
 

Caloplaca aractina (Fr.) Häyrén -
[Caloplaca aractina] [Caloplaca aractina]
Milos, with black discs (Sipman & Raus 59972); click for large picture. Milos, with red discs (Sipman & Raus 59972); click for large picture.
 

Caloplaca arcis (Poelt & Vězda) Arup -
[Caloplaca arcis] [Caloplaca arcis]
Santorini (Sipman & Raus 59683); click for large picture. Milos (Sipman & Raus 60062); click for large picture.
 

Caloplaca arcisproxima Vondrák, Říha, Arup & Søchting -
[Caloplaca arcisproxima]
Chios (Sipman & Raus 60942); click for large picture.
 

Caloplaca arenaria (Pers.) Müll.Arg. -
[Caloplaca arenaria] [Caloplaca arenaria]
(Sipman 54360); picture length = 7 mm; click for large picture. (Sipman 53763); picture length = 7 mm; click for large picture.
[Caloplaca arenaria]
(54553); picture length = 7 mm; click for large picture.
 

Caloplaca areolata (Zahlbr.) Clauzade -
[Caloplaca areolata]
Chios (Sipman & Raus 60891); click for large picture.
 

Caloplaca arnoldii ssp. obliterata (Pers.) Gaya -
[Caloplaca arnoldii]
Methana peninsula (Sipman & Raus 60519); click for large picture.
 

Caloplaca atroflava (Turner) Mong. -
[Caloplaca atroflava]
Milos (Sipman & Raus 59107); click for large picture.
 

Caloplaca aurantia (Pers.) Hellb. -
[Caloplaca aurantia] [Caloplaca aurantia]
marginal part of thallus (Sipman 53818); picture length = 7 mm; click for large picture. central part of thallus (Sipman 53818); picture length = 7 mm; click for large picture.
[Caloplaca aurantia]
unusual, fine-lobed thallus (Sipman 53864); picture length = 7 mm; click for large picture.
 

Caloplaca britannica ? -
[Caloplaca britannica]
(Sipman 54194); picture length = 7 mm; click for large picture.
 

Caloplaca calcitrapa Nav.-Ros., Gaya & Cl. Roux -
[Caloplaca calcitrapa] [Caloplaca calcitrapa]
Milos (Sipman & Raus 59871); click for large picture. Lakonia (Sipman & Raus 60138); click for large picture.
 

Caloplaca carphinea (Fr.) Jatta -
[Caloplaca carphinea] [Caloplaca carphinea]
marginal part of thallus (Sipman 53725); picture length = 7 mm; click for large picture. central part of thallus (Sipman 53663); picture length = 7 mm; click for large picture.
 

Caloplaca cerina (Hedw.) Th. Fr. -
[Caloplaca cerina]
Thasos (Sipman & Raus 58813a); click for large picture.
 

Caloplaca cerinella (Nyl.) Flagey -
[Caloplaca cerinella] [Caloplaca cerinella]
Lakonia, yellow discs, together with C. haematites (red discs) (Sipman & Raus 60123a); click for large picture. Thasos (Sipman & Raus 58959); click for large picture.
 

Caloplaca cerinelloides (Erichsen) Poelt -
[Caloplaca cerinelloides] [Caloplaca cerinelloides]
(Sipman 54283); picture length = 7 mm; click for large picture. Samothraki (Sipman & Raus 59235); click for large picture.
[Caloplaca cerinelloides]
Samothraki (Sipman & Raus 59345); click for large picture.
 

Caloplaca chalybaea (Fr.) Müll. Arg. -
[Caloplaca chalybaea] [Caloplaca chalybaea]
(Sipman 54088); picture length = 7 mm; click for large picture. Thasos (Sipman & Raus 58871); click for large picture.
 

Caloplaca chrysophthalma Degel. -
[Caloplaca chrysophthalma]
Samothraki (Sipman & Raus 59346); click for large picture.
 

Caloplaca communis Vondrák, Říha, Arup & Søchting -
[Caloplaca communis] [Caloplaca communis]
Santorini (Sipman & Raus 59683a); click for large picture. Milos (with C. arcis = Sipman & Raus 59806); click for large picture.
 

Caloplaca conversa (Kremp.) Jatta -
[Caloplaca conversa] [Caloplaca conversa]
(Sipman 53889); picture length = 7 mm; click for large picture. section of apothecium in KOH, showing different reaction of epithecium and excipulum(Sipman 53889); picture length = 310 mu; click for large picture.
[Caloplaca conversa]
Chios (Sipman & Raus 60947); click for large picture.
 

Caloplaca crenularia (With.) J.R.Laundon -
[Caloplaca crenularia] [Caloplaca crenularia]
(Sipman 53976); picture length = 7 mm; click for large picture. (Sipman 29212); picture length = 7 mm; click for large picture.
 

Caloplaca crenulatella (Nyl.) H. Olivier -
[Caloplaca crenulatella] [Caloplaca crenulatella]
Santorini (Sipman & Raus 59683b); click for large picture. Samothraki (Sipman & Raus 59549); click for large picture.
 

Caloplaca cretensis (Zahlbr.) Wunder -
[Caloplaca cretensis] [Caloplaca cretensis]
(Sipman 54057pp); picture length = 7 mm; click for large picture. (Sipman 54120pp); picture length = 7 mm; click for large picture.
[Caloplaca cretensis]
(Sipman 54439); picture length = 7 mm; click for large picture.
 
continuation of Caloplaca