[AegeanLichens]

Pictures of
AEGEAN LICHENS

List of genera

by H. Sipman
BGBM
last updated:
1 February 2007, partially 13 January 2009; updated and extended Dec. 2013
Lichens of Greece (with keys!)
webkeys
other Zschackia issues
[bgbm-Logo]

Species of Lecanora in the Aegean: A-C, D-M, N-R, S-X

 

 

Lecanora achariana A.L.Sm. - see Protoparmeliopsis achariana
 

Lecanora agardhiana Ach. -
[Lecanora agardhiana]
(Sipman 42695); picture length = 7 mm; click for large picture.
 

Lecanora agardhiana Ach.? - A somewhat similar, probably undescribed, epiphytic species on Pinus.
[Lecanora cf. agardhiana]
Methana peninsula (Sipman & Raus 60459); click for large picture.
 

Lecanora cf. albescens - deviating by a verrucose thallus and prominent apothecia.
[Lecanora albescens] [Lecanora albescens]
(Sipman 28917); picture length = 7 mm; click for large picture. (Sipman 28917); picture length = 7 mm; click for large picture.
 

Lecanora anopta Nyl. -
[Lecanora anopta]
(Sipman 54492); picture length = 7 mm; click for large picture.
 

Lecanora argentata (Ach.) Malme - TLC: atranorin, gangaleoidin.
[Lecanora argentata] [Lecanora argentata]
Samothraki (Sipman & Raus 59597); click for large picture. Samothraki (Sipman & Raus 59597); click for large picture.
 

Lecanora argopholis (Ach.) Ach. -
[Lecanora argopholis]
Thasos (Sipman & Raus 58434); click for large picture.
 

Lecanora bandolensis B. de Lesd. - Specimens from Euboia appear to have a paler disc than those from the other Aegean islands (upper two pictures).
[Lecanora bandolensis] [Lecanora bandolensis]
(Sipman 28944); picture length = 7 mm; click for large picture. (Sipman 28321); picture length = 7 mm; click for large picture.
[Lecanora bandolensis] [Lecanora bandolensis]
(Sipman 53882); picture length = 7 mm; click for large picture. (Sipman 54333); picture length = 7 mm; click for large picture.
[Lecanora bandolensis]
(Sipman 54023); picture length = 7 mm; click for large picture.
 

Lecanora bolcana (Pollini) Poelt - see Protoparmeliopsis bolcana
 

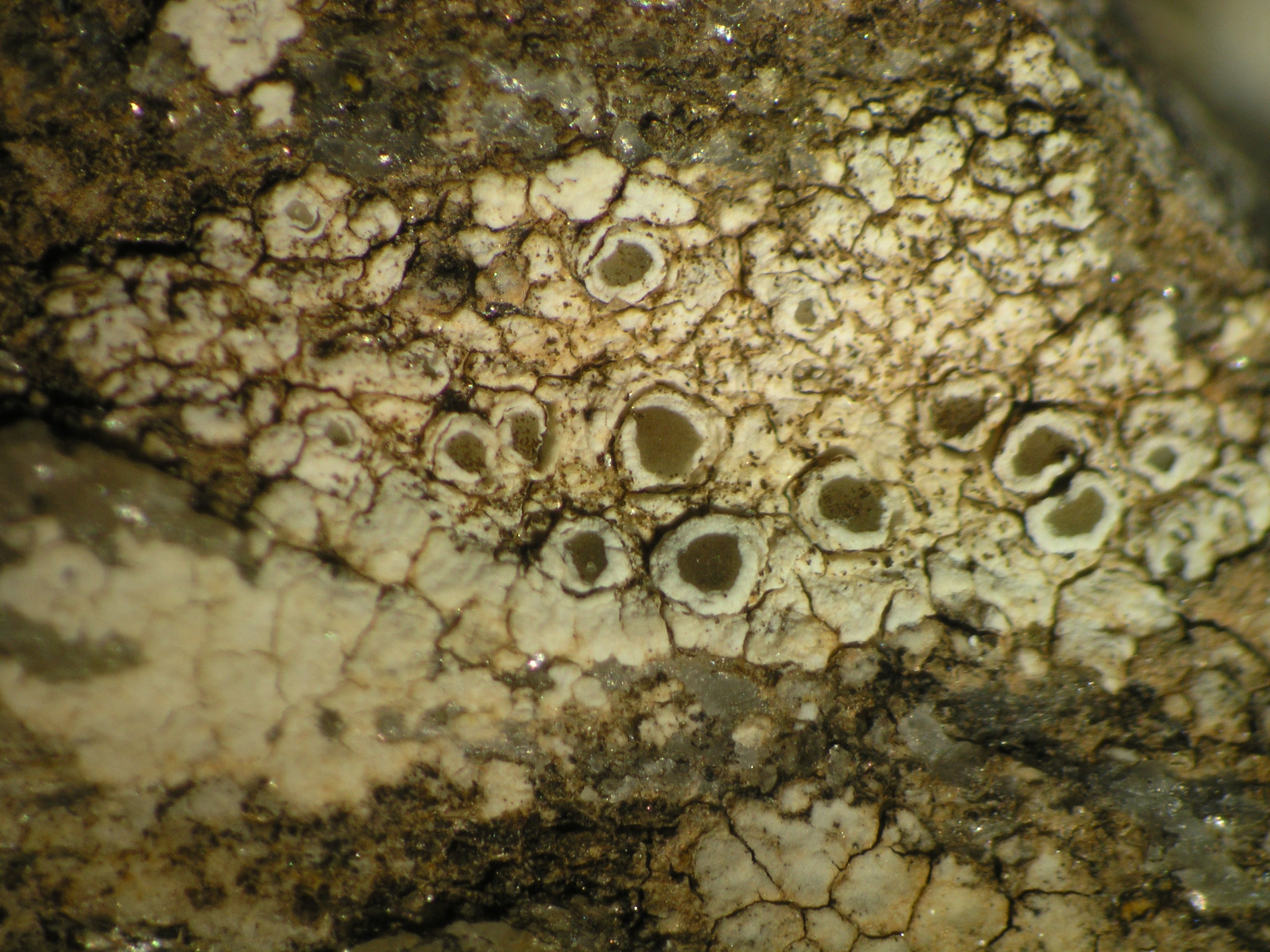
Lecanora campestris (Schaer.) Hue -
[Lecanora campestris] [Lecanora campestris]
(Sipman 53699); picture length = 7 mm; click for large picture. (Sipman 54009) cf.; picture length = 7 mm; click for large picture.
[Lecanora campestris] [Lecanora campestris]
(Sipman 54226); picture length = 7 mm; click for large picture. (Sipman 54321); picture length = 7 mm; click for large picture.
 

Lecanora carpinea (L.) Vain. - TLC: atranorin, roccellic acid; disc C+ yellow.
[Lecanora carpinea] [Lecanora carpinea]
(Sipman 54140); picture length = 7 mm; click for large picture. Thasos (Sipman & Raus 58786); click for large picture.
[Lecanora carpinea]
Thasos (Sipman & Raus 59132); click for large picture.
 

Lecanora cenisia Ach. - TLC: atranorin, roccellic acid.
[Lecanora cenisia] [Lecanora cenisia]
Samothraki (Sipman & Raus 59415); click for large picture. Samothraki (Sipman & Raus 59608); click for large picture.
 

Lecanora chlarotera Nyl. - TLC: atranorin, gangaleoidin.
[Lecanora chlarotera] [Lecanora chlarotera]
(Sipman 53793); picture length = 7 mm; click for large picture. (Sipman 54257); picture length = 7 mm; click for large picture.
[Lecanora chlarotera] [Lecanora chlarotera]
(Sipman 54247); picture length = 7 mm; click for large picture. (Sipman 54474); picture length = 7 mm; click for large picture.
 

Lecanora compallens van Herk & Aptroot - TLC: usnic acid, zeorin.
[Lecanora compallens] [Lecanora compallens]
Lakonia (Sipman & Raus 60098); click for large picture. Methana peninsula (Sipman & Raus 60348); click for large picture.
[Lecanora compallens]
(Sipman 54491); picture length = 7 mm; click for large picture.
 

Lecanora congesta Clauzade & Vezda - not yet found in Greece but easily confused with Lecanora prophetae-eliae, from which it differs by the C+ red thallus reaction.
[Lecanora congesta]
Spain (Sipman 8385); picture length = 7 mm; click for large picture.
 
continuation of Lecanora