[AegeanLichens]

Pictures of
AEGEAN LICHENS

List of genera

by H. Sipman
BGBM
last updated:
1 February 2007, partially 13 January 2009; updated and extended Dec. 2013
Lichens of Greece (with keys!)
webkeys
other Zschackia issues
[bgbm-Logo]

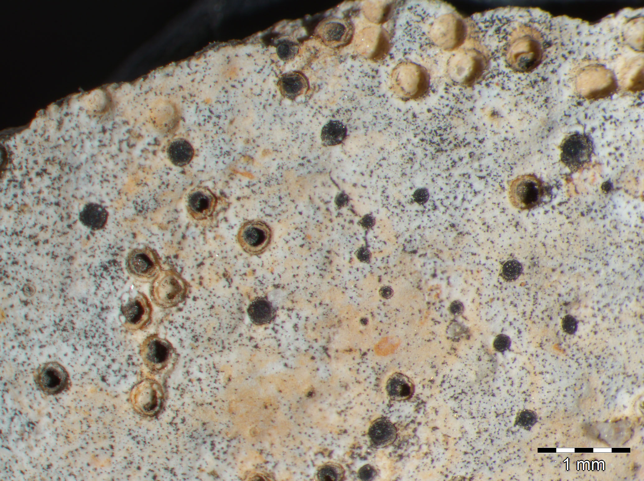
Species of Polyblastia in the Aegean:

 

 

Polyblastia albida Arnold -
[Polyblastia albida] [Polyblastia albida]
(Sipman 53828); picture length = 7 mm; click for enlargement. Lakonia (Sipman & Raus 60084); click for enlargement.
 

Polyblastia dermatodes A.Massal. -
[Polyblastia dermatodes] [Polyblastia dermatodes]
Lakonia (Sipman & Raus 60142); click for enlargement. Lakonia (Sipman & Raus 60252); click for enlargement.
next genus