[AegeanLichens]

Pictures of
AEGEAN LICHENS

List of genera

by H. Sipman
BGBM
last updated:
1 February 2007, partially 13 January 2009; updated and extended Dec. 2013
Lichens of Greece (with keys!)
webkeys
other Zschackia issues
[bgbm-Logo]

Species of Verrucaria in the Aegean (incl. Bagliettoa)

Click on picture for enlargement.

 

 

Verrucaria aethiobola Wahlenb. - Identification uncertain.
[Verrucaria aethiobola]
Thasos (Sipman & Raus 59106); click for enlarged picture.
 

Verrucaria baldensis A.Massal.? -
[Verrucaria baldensis] [Verrucaria baldensis]
(Sipman 54070); picture length = 7 mm. (Sipman 54072pp); picture length = 7 mm.
 

Verrucaria calciseda DC. ? - Material mostly with poorly developed perithecia.
[Verrucaria calciseda] [Verrucaria calciseda]
(Sipman 53829); picture length = 7 mm. (Sipman 54031); picture length = 7 mm.
[Verrucaria calciseda] [Verrucaria calciseda]
small form? (Sipman 54039); picture length = 7 mm. small form? (Sipman 54066); picture length = 7 mm.
 

Verrucaria ditmarsica Erichs. -
[Verrucaria ditmarsica]
(Sipman 54051); picture length = 7 mm.
 

Verrucaria dolosa Hepp -
[Verrucaria dolosa]
Thasos (Sipman & Raus 58857a); click for enlarged picture.
 

Verrucaria fusconigrescens Nyl. -
[Verrucaria fusconigrescens] [Verrucaria fusconigrescens]
(Sipman 54191pp); picture length = 7 mm. Thasos (Sipman & Raus 59089); click for enlarged picture.
 

Verrucaria fuscula Nyl. - see Heteroplacidium fusculum
 

Verrucaria geophila Zahlbr.? -
[Verrucaria geophila] [Verrucaria geophila]
(Sipman 53788pp); picture length = 7 mm. (Sipman 54056pp); picture length = 7 mm.
 

Verrucaria hochstetteri Fr.? -
[Verrucaria hochstetteri] [Verrucaria hochstetteri]
(Sipman 54146); picture length = 7 mm. Thasos (Sipman & Raus 59089); click for enlarged picture.
 

Verrucaria lecideoides (A.Massal.) Trevis. - ?
[Verrucaria lecideoides] [Verrucaria lecideoides]
(Sipman 53860); picture length = 7 mm. (Sipman 53860); picture length = 7 mm.
[Verrucaria lecideoides] [Verrucaria lecideoides]
(Sipman 54092pp); picture length = 7 mm. Thasos (Sipman & Raus 59154); click for enlarged picture.
 

Verrucaria macrostoma Dufour ex DC. -
[Verrucaria macrostoma] [Verrucaria macrostoma]
Milos (Sipman & Raus 60061). Thasos (Sipman & Raus 58397); click for enlarged picture.
[Verrucaria macrostoma]
Samothraki (Sipman & Raus 59554); click for enlarged picture.
 

Verrucaria marmorea (Scop.) Arnold -
[Verrucaria marmorea] [Verrucaria marmorea]
(Sipman 53842); picture length = 7 mm. (Sipman 54151); picture length = 7 mm.
[Verrucaria marmorea]
(Sipman 54530); picture length = 7 mm.
 

Verrucaria maura Wahlenb. -
[Verrucaria maura]
(Sipman 54049); picture length = 7 mm.
 

Verrucaria muralis Ach.? - The material is not well developed and the identification unclear.
[Verrucaria muralis] [Verrucaria muralis]
(Sipman 54149); picture length = 7 mm. Methana Peninsula (Sipman & Raus 60523).
 

Verrucaria myriocarpa Hepp -
[Verrucaria myriocarpa]
Chios (Sipman & Raus 60695a); click for enlarged picture.
 

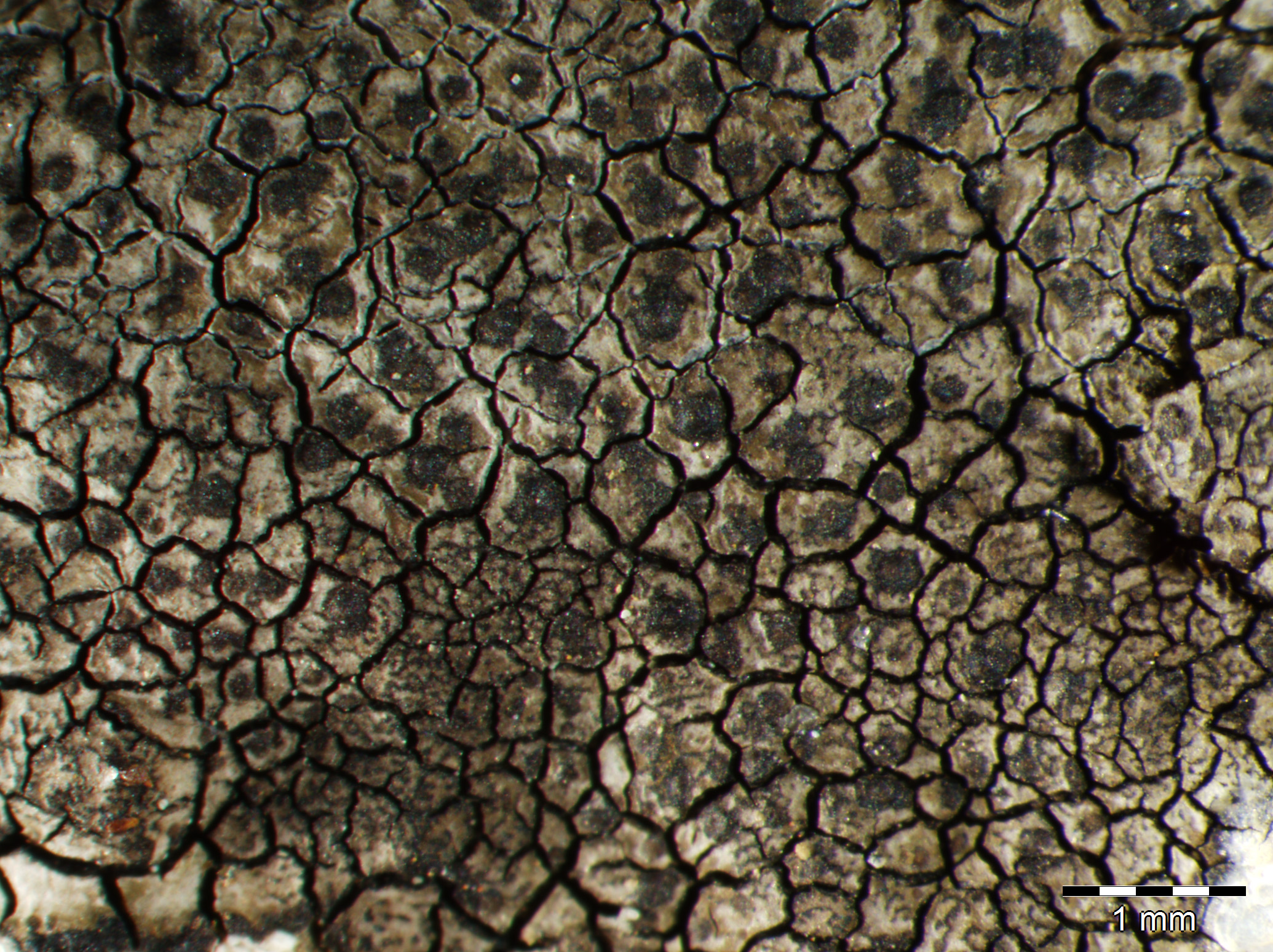
Verrucaria nigrescens Pers. - Material seems heterogeneous.
[Verrucaria nigrescens] [Verrucaria nigrescens]
(Sipman 54072); picture length = 7 mm. (Sipman 54072); picture length = 3.5 mm.
[Verrucaria nigrescens] [Verrucaria nigrescens]
(Sipman 53812); picture length = 7 mm. (Sipman 54159); picture length = 7 mm.
[Verrucaria nigrescens] [Verrucaria nigrescens]
(Sipman 53867); picture length = 7 mm. (Sipman 54038); picture length = 7 mm.
[Verrucaria nigrescens] [Verrucaria nigrescens]
(Sipman 53828); picture length = 7 mm. (Sipman 54163); picture length = 7 mm.
[Verrucaria nigrescens]
(Sipman 54316); picture length = 7 mm.
 

Verrucaria pinguicula A. Massal. -
[Verrucaria pinguicula] [Verrucaria pinguicula]
Thasos (Sipman & Raus 58501); click for enlarged picture. Thasos (Sipman & Raus 58662); click for enlarged picture.
 

Verrucaria polysticta Borrer - Identification uncertain.
[Verrucaria polysticta]
Samothraki (Sipman & Raus 59525); click for enlarged picture.
 

Verrucaria umbrinula Nyl. -
[Verrucaria umbrinula]
Thasos (Sipman & Raus 58933a); click for enlarged picture.
 

Verrucaria veronensis A. Massal. -
[Verrucaria veronensis]
Thasos (Sipman & Raus 58851); click for enlarged picture.
 

Verrucaria viridula (Schrad.) Ach. -
[Verrucaria viridula]
Thasos (Sipman & Raus 58486); click for enlarged picture.
 

Verrucaria sp. (corticolous) -
[Verrucaria sp. (corticolous)] [Verrucaria sp. (corticolous)]
(Sipman 54412pp); picture length = 7 mm. (Sipman 54412pp); picture length = 3.5 mm.
 

Verrucaria spec. -
[Verrucaria sp.] [Verrucaria sp.]
(Sipman 53860pp) an V. nigrescens?; picture length = 7 mm. (Sipman 54145); picture length = 7 mm.
[Verrucaria sp.]
(Sipman 54032); picture length = 7 mm.
next genus